Raymarine colabora com o projeto SEABED 2030 para avançar no mapeamento global dos fundos marinhos

0

A Raymarine anunciou recentemente uma colaboração estratégica com o projeto The Nippon Foundation–GEBCO Seabed 2030, uma ambiciosa iniciativa global que visa garantir que 100% dos fundos oceânicos do planeta estejam mapeados até 2030.

A parceria foi anunciada durante o Ocean Floor Explore Symposium, organizado pela Map the Gaps e pela COAST, um evento que reúne indústria, tecnologia e filantropia para promover a colaboração intersectorial e ultrapassar os desafios da exploração dos oceanos profundos.

Sobre o projeto Seabed 2030
Lançado em 2017, o Seabed 2030 é um esforço conjunto entre a The Nippon Foundation e o GEBCO (General Bathymetric Chart of the Oceans), sendo um programa oficialmente reconhecido pela Década das Nações Unidas da Ciência dos Oceanos para o Desenvolvimento Sustentável.

O objetivo do projeto é compilar todos os dados batimétricos disponíveis e criar um mapa global de livre acesso do fundo oceânico, apoiando a conservação marinha, a modelação climática, a previsão de tsunamis e a gestão sustentável dos recursos oceânicos.

A contribuição da Raymarine
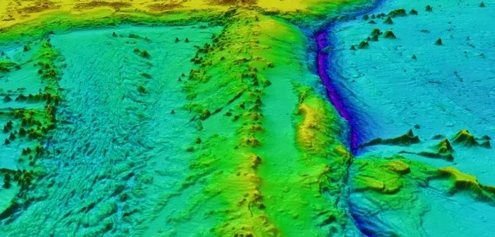
No âmbito desta colaboração, a Raymarine está a disponibilizar um conjunto único de dados batimétricos colaborativos, recolhidos a partir de milhares de embarcações equipadas com sistemas de sonar Raymarine em todo o mundo.

Estes dados, obtidos durante a utilização real das embarcações, contribuirão para melhorar a resolução e cobertura dos mapas existentes, especialmente em zonas costeiras e offshore com menor levantamento hidrográfico.

Temos muito orgulho em apoiar o projeto Seabed 2030 na sua missão de acelerar o mapeamento completo dos oceanos do mundo”, afirmou Grégoire Outters, Diretor-Geral da Raymarine. “Esta colaboração reflete o nosso compromisso com uma navegação mais segura, uma ciência mais robusta e um futuro mais sustentável para a indústria marítima.
A contribuição da Raymarine com dados batimétricos colaborativos é um exemplo poderoso de como a indústria pode acelerar o conhecimento sobre o fundo dos oceanos”, acrescentou Jamie McMichael-Phillips, Diretor do Seabed 2030 Project. “Agradecemos o seu apoio e esperamos que este contributo tenha um impacto significativo nos nossos esforços de mapeamento global.”

Sobre a The Nippon Foundation e o GEBCO
A The Nippon Foundation, organização filantrópica privada sediada em Tóquio, tem sido o principal financiador das iniciativas de formação e mapeamento da GEBCO há mais de duas décadas.
Através do seu apoio ao Seabed 2030 e ao Programa de Formação GEBCO–Nippon Foundation, na Universidade de New Hampshire, já foram formados mais de 100 especialistas em mapeamento oceânico provenientes de mais de 45 países.

O desafio até 2030
Atualmente, apenas 27,3% do fundo marinho mundial foi mapeado de acordo com os padrões modernos.
O Seabed 2030 pretende eliminar esta lacuna até 2030 através da colaboração internacional, do partilhamento aberto de dados e de parcerias inovadoras como esta entre a Raymarine e a fundação.

Partilhe

Acerca do Autor

A redacção da Náutica Press prepara artigos e notícias do seu interesse, mantendo-o ao corrente do que se passa no universo da náutica de recreio e da náutica em geral, em Portugal e no Mundo.

Deixe Resposta