Raymarine colabora com o projeto SEABED 2030 para avançar no mapeamento global dos fundos marinhos
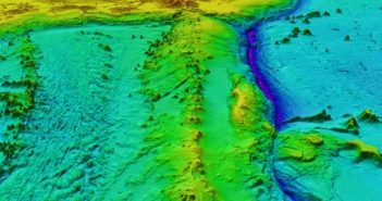
A Raymarine anunciou recentemente uma colaboração estratégica com o projeto The Nippon Foundation–GEBCO Seabed 2030,…
A Raymarine anunciou recentemente uma colaboração estratégica com o projeto The Nippon Foundation–GEBCO Seabed 2030,…
A Raymarine e a Suzuki Marine anunciaram uma nova colaboração que traz instrumentação de motor…
Os IBI Metstrade Boat Builder Awards for Business Achievement de 2025, organizados em parceria com…
A Raymarine anunciou hoje que os seus plotters cartográficos Axiom passarão a oferecer sincronização de…
A Raymarine anunciou que será a patrocinadora principal do prestigiado X-Yachts Gold Cup Festival, que…
A Raymarine, líder global em eletrónica náutica de alto desempenho para navegação de recreio, autoridades…
A Raymarine, líder global em eletrónica marítima de alto desempenho para navegação recreativa, operações de…
Revelado no boot Düsseldorf 2025, o Uniko 34, da BFF Yachts, marca um ponto de…
A Blue Water Desalination anunciou novas capacidades para monitorizar e controlar as operações dos dessalinizadores…
A Raymarine está a revolucionar o mercado marítimo comercial com um sistema de radar de…